Login Logout Arrow right Chevron left Chevron right Chevron up Chevron down LinkedIn Ellipsis Close Tick Grid Envelope Phone Info Print PDF Share Lock Search Check circle Download Video Podcast

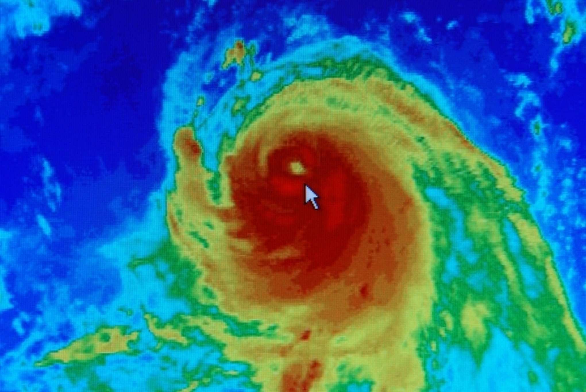
Hurricane Sam

October 12, 2021

Hurricane Sam

Hurricane Sam is an intense category 4 hurricane.

See satellite images here

It doesn't appear that it will reach the US East coast according to other sources thanks to a Bermuda high and further south jet stream